
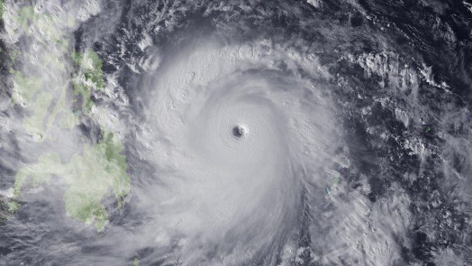
UPDATED 8:46pm:Â Aid workers in the Philippines face a nervous wait, as yet another huge typhoon heads in.
Typhoon Hagupit is due to make landfall this evening, and 30 million people are expected to feel the impact.
Around 10 million people in the Bicol and eastern Visayas regions face the risk of flooding, storm surges and strong winds.
World Vision's Chris Clarke says people hit by the last super typhoon are only just beginning to rebuild their lives.
He says even though this latest typhoon is not expected to be as big, it does have the potential to wreak enormous havoc on communities which are already vulnerable.
Chris Clarke says it's tough and there are a lot of fearful people.
Â
Take your Radio, Podcasts and Music with you